Camucia ~ Passignano sul Trasimeno 19km

1. Today’s headline photo is a commemorative photo with the staff of the Euro Spin store on the shore of Lake Trasimeno.

2. Thanks to long walking of yesterday, I have more free time today. So I take the 19 km course that detours 2km further toward the lake.

3. My face looks like that I was not recovered fully from tiredness of yesterday.

4.

5.

6.

7.

8.

9. I took a selfie with a dog barking hard at a stranger. The owner is watching from the side.

10. I often see Japanese restaurants in Italy. Thanks to this, I can eat the rice menu which helps me maintain my condition.

11.

12.

13. Looking at the temperature around 9 o’clock after departure, it was not a very hot day.

14.

15. When I searched the tree, it was called stone pine tree or umbrella pine tree. It is native to North Africa. It is now said to be a Roman attraction.
https://en.m.wikipedia.org/wiki/Stone_pine

16.

17. I entered a quiet road to the lake.

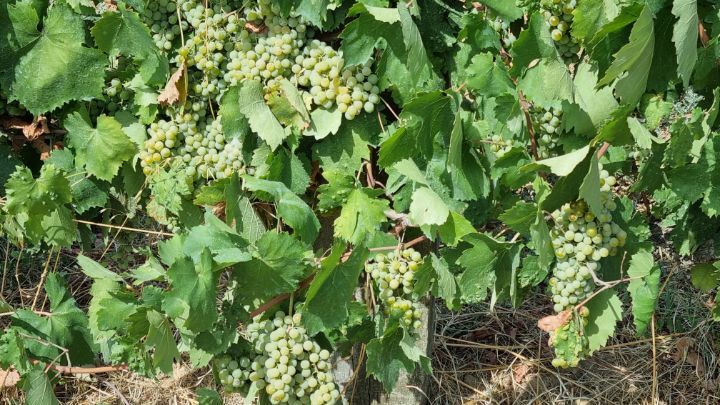
18. A farm with a fence of vine.

19. I am curious about the grape species. Italian wines are usually delicious. I remember drinking wine all the time when I traveled in Italy almost 20 years ago .

20. I picked one and tasted it. The grape grains are rather small. Instead of the flesh, it has a lot of juice and a good scent.

21.

22. This species is different. This grape is for white wine.

23.

24.

25.

26. I can see the citadel on a hill in the distance.

26. Soon I can see a large lake.

27. I have to walk a long way along the promenade to see entire lake.

28.

29.

30. After all, it is a lake. The name is Lake Trasimeno.

31. It is quite large, but it is different from the large lakes in Alps I have been through.
https://en.m.wikipedia.org/wiki/Lake_Trasimeno

32.

33.

34.

35.

36.

37. There is a long promenade around the lake.

38.

39.

40.

41. There are ferries, too.

42.

43. There is a large supermarket called Euro Spin where the lake promenade meets the general road. I bought something to eat and was going to the counter. One of the employees (in the middle of the picture) watches traveler’s behavior and asks in detail out of curiosity. She was surprised and called her English-speaking colleague, and then called all the employees.

44. I took a selfie with the customer at the cashier.

45. I decided to take a commemorative photo because of the kindness of the staff who brought me a lot of food.

46. I got out of there and started walking toward the lodging about 1 km away. Suddenly a nice BMW convertible stopped, and the wife approached me. She said she had just heard that I had walked from Korea five years ago. She also told that her sister had Korean children. She wanted to take a picture of me and send it to her sister. It feels touching.

47. Departing~

48. Residential area of destination.

49.

50. Today I will rest twofold including yesterday’s rest.
Categories: 27. Italy, Course and Diary
Leave a comment